Mansarda Bilocale Le-Regine Centro Mq 50 P. 1° Terrazzo
Descrizione
VENDITA € 75.000 Mansarda Bilocale Le-Regine Centro Mq 50 Piano Primo e Soppalco Terrazzo Mq 25 Caminetto Cantina Riscaldamento Indipendente Elettrico, Produzione Acqua Calda Sanitaria (Boiler Elettrico 50 Litri).
Agenziacioni.com
propone in Vendita un Appartamento Mansarda,
ubicato vicino al Centro della Località Le-Regine,
ed all'Impianto di Risalita e la relativa Pista da sci Chierroni-Fivizzani,
Appartamento Mansarda recentemente ristrutturato ed arredato,
Mansarda Bilocale Le-Regine Centro Mq 50 Terrazzo Mq 25,
ubicata al Piano Primo di una elegante Palazzina sviluppata su Due Piani,
suddivisa in Due Scale interne,
composte ciascuna da Sei Appartamenti.
Prezzo di Vendita Euro 75.000 Trattabile.
Link Youtube N° 2:
Caratteristiche Generali della Mansarda Le-Regine Centro
L'Appartamento Mansarda Bilocale fa parte di una piccola Palazzina Condominiale,
costituita da Sei Unità Immobiliari.
Il Condominio è dotato di un ampio Giardino,
sviluppato sui Quattro Lati del Fabbricato,
ad uso Comune;
La Palazzina Condominiale dove si trova la Mansarda Bilocale,
è inserita in un complesso di Tre Condomini similari,
affiancati e collegati tra loro, tramite scala esterna scoperta,
la quale conduce direttamente dalla Via Brennero, e dalla Area di parcheggio scoperta,
posta di fronte al primo Condominio, ubicato lungo la Via del Brennero,
alle altre due Palazzine condominiali;
Il Condominio di cui fa parte la Mansarda Bilocale è ubicato Sotto-strada,
ed è stato realizzato con finiture esterne caratteristiche, in stile,
con facciate rivestite di Legno;
Le Unità Immobiliari che compongono il Condominio,
tra le quali la Mansarda Bilocale, sono dotate di ampi terrazzi.
La Mansarda Bilocale Mq 50 Terrazzo Mq 25,
è ubicata al Piano Primo di un Piccolo Condominio,
sviluppato su Due Piani;
La Mansarda Bilocale è sviluppata sul Lato Est della Palazzina Condominiale,
con affaccio Panoramico sul Monte Libro Aperto,
dal quale si può ammirare il Sorgere del Sole;
Posizione della Mansarda Bilocale Le-Regine
La Mansarda Bilocale Le-Regine Centro Mq 50 è ubicata vicino al Centro del Paese,
posizionata a pochi metri dalla S.S. 12 dell'Abetone e del Brennero (Già Via Brennero);
La Via del Brennero, è una Strada Statale,
ed in caso di neve,
ne viene garantita la spalatura dalla
Società Anas
.
A poche decine di metri dalla Mansarda Bilocale Le-Regine Centro,
si raggiunge a piedi l'Impianto di Risalita,
della Seggiovia Quadriposto,
e la Sua pista da Sci Chierroni-Fivizzani.
L'Impianto di Risalita della Seggiovia Quadriposto,
è collegato con tutto il comprensorio di
Abetone
.
La Mansarda Bilocale Le-Regine Centro Mq 50 Terrazzo Mq 25,
è ubicata a pochi passi dalla Pista da Sci
Chierroni Fivizzani
,
e dalla partenza dell'Impianto di Risalita Quadriposto,
collegata con tutto il comprensorio delle Piste da sci di
Abetone
;
La Mansarda Le-Regine Centro Mq 50 Bilocale,
si trova a pochi passi dal centro del Paese,
e dai Servizi ed i Negozi presenti nella Località;
La Mansarda Bilocale Le-Regine Centro,
è posta a pochi metri dalla S.S. 12 dell'Abetone e del Brennero (Già Via Brennero),
ed è ubicata a circa 3 km dal Centro e dalle Piste da Sci di
Abetone
;
La Località de Le-Regine Abetone è servita dal Servizio Pubblico,
della Compagnia di Trasporti delle
Autolinee Toscane
,
la cui Linea Extra-Urbana N° 54,
collega la stazione Ferroviaria di Pistoia, Capolinea,
con le gli Impianti di Risalita e le Piste da Sci dell'
Abetone
,
e tutte le località dell'Appennino Pistoiese;
La Mansarda Bilocale Le-Regine Centro Mq 50,
oltremodo è ubicata vicino al rinomato
Parco Orto Botanico,
gestito dall' Università di Firenze;
Sviluppo Interno della Mansarda Bilocale Le-Regine
La Mansarda Bilocale Mq 50 Le-Regine Centro,
è stata completamente ristrutturata, con finiture in stile;
L' Appartamento risulta particolarmente interessante per la sua posizione,
e per la sua struttura caratteristica di Mansarda,
con finiture dei pavimenti in Parquet e dei soffitti con travi a vista in Legno;
La Mansarda Bilocale Le-Regine Centro Mq 50 è composta da:
Al Piano Primo:
accesso pedonale dalla Via Brennero,
tramite Scala Scoperta
Resede Condominiale di Accesso
tramite la Scala Condominiale,
si accede al Piano Primo,
su un Pianerottolo a Comune,
con una seconda Unità Immobiliare
Ingresso Appartamento Mansarda
Disimpegno attrezzato con piccolo guardaroba
Sala ampia e luminosa,
grazie ad una Finestra, e ad una Porta che conduce ad una Terrazza di Mq 25,
affacciata sul Bosco
Sala attrezzata con Caminetto,
ed arredata con Divano letto matrimoniale
Il Terrazzo di Mq 25, è collegato alla Sala,
ed è sviluppato su tutta la Facciata Tergale della Mansarda,
con affaccio Panoramico sul Monte Libro Aperto
Zona Pranzo ricavata nella Sala
Cucinotto con angolo cottura completamente attrezzato
Disimpegno zona notte
Camera matrimoniale
Bagno attrezzato con doccia
La Mansarda può ospitare fino a Sette posti letto.
La Mansarda Bilocale viene venduta completamente arredata,
come da Foto e Video pubblicati in questo articolo.
Impianto di Riscaldamento della Mansarda Le-Regine
L'Appartamento Bilocale è dotato di Impianto di Riscaldamento Indipendente,
realizzato con Termo-convettori Elettrici,
installati in ogni locale della Mansarda;
La Temperatura interna della Mansarda Bilocale,
viene regolata in modo autonomo,
tramite il proprio Termostato Ambiente Smart Programmabile
Il Termostato Smart permette la gestione da Remoto,
della accensione del Riscaldamento,
grazie alla Sim Cellulare installata all'interno del Termostato;
Inviando semplici comandi SMS, si pilota da remoto l'accensione di un Relè,
che comanda le prese di corrente che alimentano le Piastre Radianti Elettriche.
La Produzione della Acqua Calda Sanitaria,
viene garantita da un Boiler Elettrico,
della Capacità di 50 Litri,
installato all'interno del Bagno.
Locali Accessori della Mansarda Bilocale
La Mansarda Bilocale Le-Regine Centro Mq 50 è corredato dei seguenti Servizi e Locali accessori:
Al Piano Seminterrato della Palazzina ubicata Lungo la Via del Brennero:
Ampio Locale adibito ad Uso Comune,
al cui interno sono stati installati degli Armadietti di Metallo,
ad uso di ripostiglio Sci e Scarponi,
armadietti assegnati
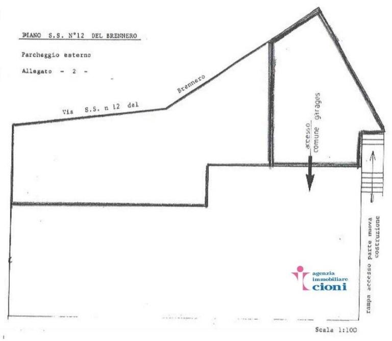
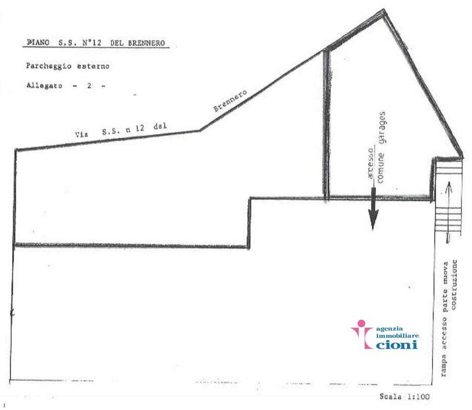
Area di Parcheggio della Mansarda Bilocale
Di Fronte alla Palazzina condominiale, ubicata lungo la Via Brennero,
si trova una comoda e ampia area di parcheggio,
dove si trovano dei Posti Auto Scoperti, non assegnati,
utilizzati dalle Tre Palazzine che compongono il Complesso di Appartamenti,
in uno dei quali si trova la Mansarda Bilocale;

